About 87-179 Hakimo Road
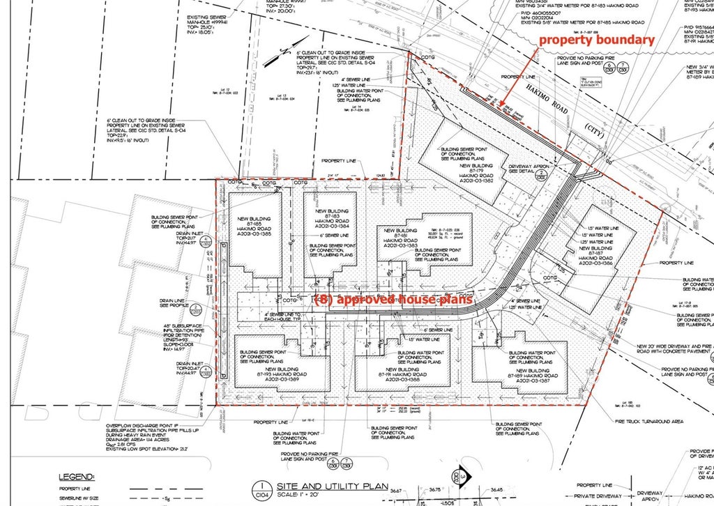
Huge price improvement! Land + (8) Approved house plans with permit fees already PAID ready to build! This is a turn-key project! No need to wait 3 to 5 years for permitting. Eight (8) single-family dwellings already approved and permitted on this 50,001 sf fee simple property. The lot is currently being demo'd & cleared and ready for you to build (8) beautiful homes. Architectural plans and permitting information are available to share with qualified buyers. The eight approved DPP house permits are: #907345, #907351, #907354, #907356, #907671, #907673, #907678, and #907682. Each home is designed with 4bd/2ba, kitchen, dining, living room and a 2-car carport. The average living area per home is about 1,600 sf. All building permit fees paid for including sewer connection, water/fixture unit facilities, park dedication, building demolition, grading, house building plans. An incredible deal, under $250k per house lot.
Features of 87-179 Hakimo Road
| MLS® # | 202515653 |
|---|---|
| Price | $1,998,000 |
| Land Tenure | FeeSimple |
| Bathrooms | 0.00 |
| Acres | 1.15 |
| Year Built | 2026 |
| Type | Residential |
| Sub-Type | Multi Family |
| Status | Active |
Community Information
| Address | 87-179 Hakimo Road |
|---|---|
| Area | Leeward |
| Subdivision | MAILI |
| City | Waianae |
| County | Oahu |
| State | HI |
| Zip Code | 96792 |
Amenities
| Utilities | Above Ground Utilities, Electricity Available, Phone Available, Sewer Connected, Water Available |
|---|---|
| Parking Spaces | 16 |
| Parking | Covered |
| View | Mountain(s) |
| Is Waterfront | No |
| Has Pool | No |
Interior
| Fireplace | No |
|---|---|
| Stories | One |
Exterior
| Exterior | Double Wall, Wood Frame |
|---|
Additional Information
| Lease Fee | $0 |
|---|---|
| Monthly Maintenance Fee | $0 |
Listing Details
| Office | Loyal Realty, LLC |
|---|---|
| Contact Info | (808) 739-2291 |
